PROPERTY VIDEO
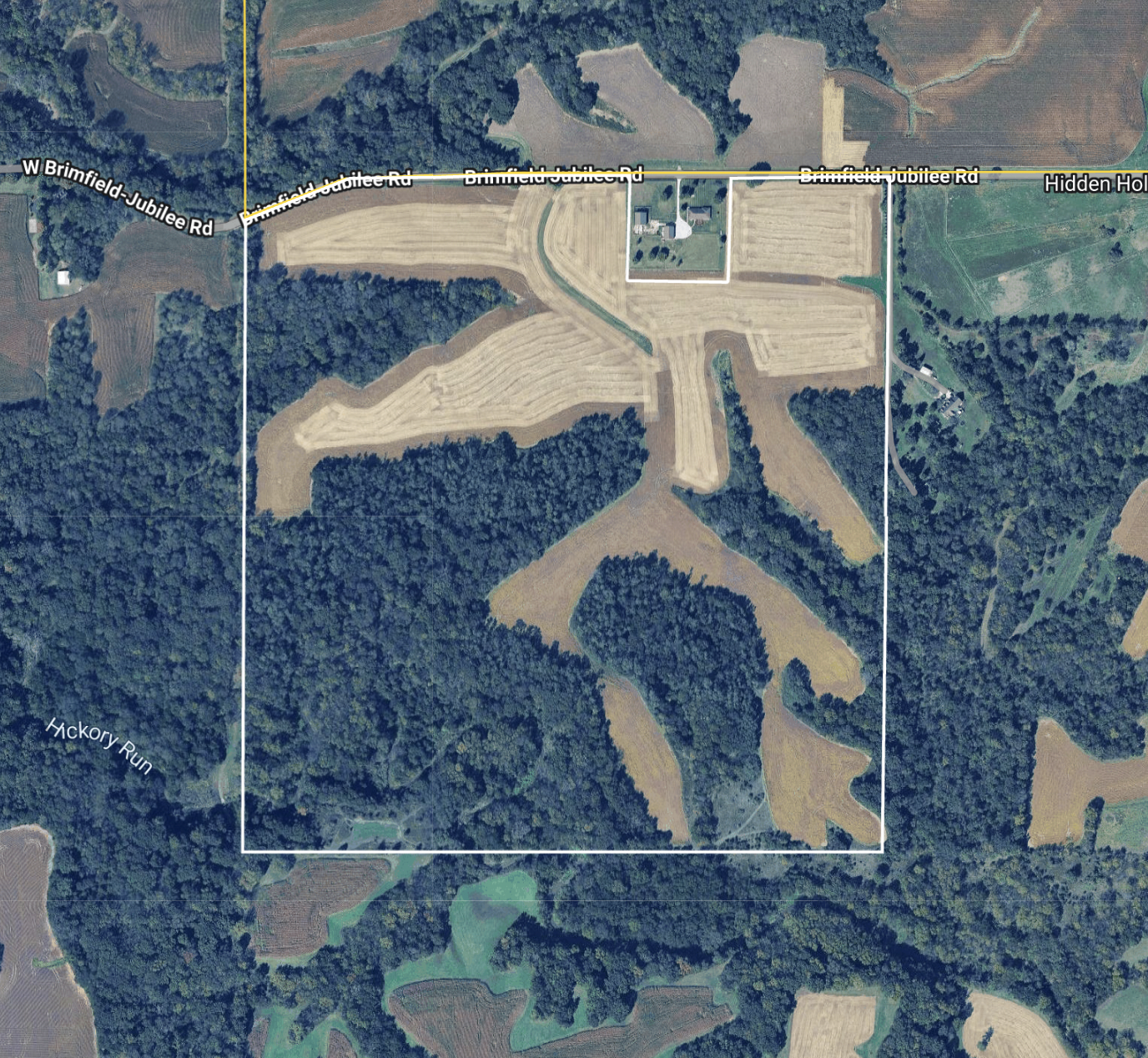
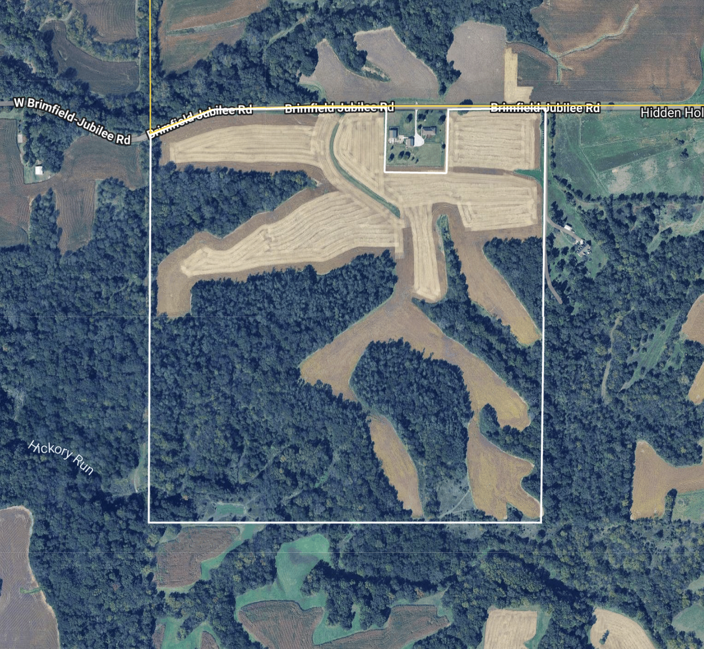
AERIAL

INTERACTIVE MAP
PROPERTY PICTURES











PROPERTY DESCRIPTION
| Overview |
|---|
| 155+/- Acres |
| 65 +/- Acres Tillable |
| Dunlap School District |
| Trophy Whitetail and Turkey Hunting |
| Several Homesites with Incredible Views |
| Hard Road Access |
Presenting 155± acres in Peoria County, Illinois, located in the highly coveted Dunlap School District — a rare combination of income-producing farmland, exceptional hunting, and elite homesite potential.
This farm offers an incredible layout with gentle-sloping tillable fields, winding draws, and miles of field edge, creating natural funnels and habitat diversity that trophy whitetails thrive on. With 65 acres of productive tillable ground, the property generates strong annual income while simultaneously serving as premium food-source acreage for wildlife.
The balance of timbered ridges, secluded pockets, and crop fields gives this tract all the ingredients needed to become one of the premier trophy whitetail hunting farms in Central Illinois. Long sightlines, hidden access routes, and varied terrain create excellent stand locations for multiple wind directions.
Beyond the hunting and income, the property also features outstanding homesites with long views, privacy, and the kind of natural setting that’s almost impossible to find in the Dunlap area. Whether for a single estate home, a family compound, or future development, the land provides exceptional flexibility.
Income, location, beauty, and world-class hunting — this 155-acre Dunlap-area farm brings it all together in one impressive package.

