Property Video
Property Aerial


Interactive Aerial
Picture Gallery

































Property Information
| 7 Acres Tillable |
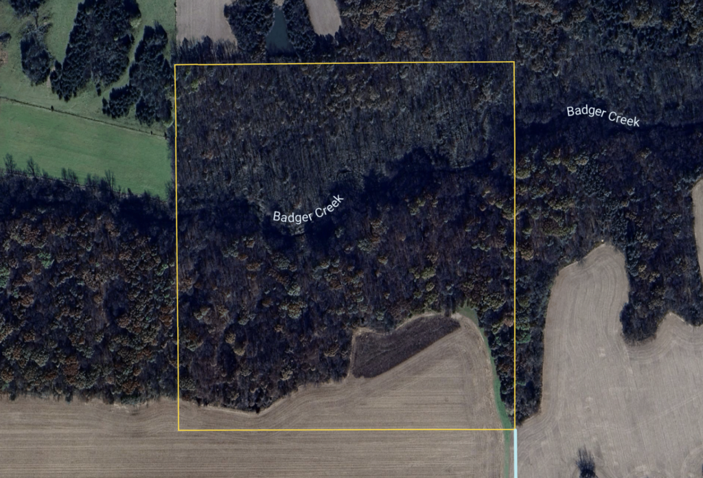
| Badger Creek Winds Through Property |
| Giant Flat Creek Bottom with Hardwoods |
| Adjoins Camp Ellis Area |
| Trophy Whitetail Hunting |
| Turkey Hunting |
| Remote Location |
Prime 46-Acre Trophy Whitetail Hunting Property – Fulton County, IL
This 46-acre remote hunting paradise is a dream come true for serious whitetail hunters. Adjoining the historic Camp Ellis area and accessed via easement, this secluded tract is in the heart of some of the best deer hunting territory Illinois has to offer.
The property features 7 acres of tillable ground, perfect for strategic food plots to attract and hold mature bucks. Badger Creek winds through the bottomland, creating natural funnels and prime stand locations. The landscape is a hunter’s dream, with massive hardwoods, big wide creek bottoms, and a direct connection to expansive timber—an ideal setup for targeting trophy-class whitetails.
In addition to world-class deer hunting, this property also offers outstanding turkey hunting and year-round recreational opportunities. If you’re looking for a remote, high-quality hunting farm with all the right ingredients for success, this is it.
Don’t miss this rare opportunity—contact us today for more details!

